– over all forventning!
Løykja i Sunndalen, Møre og Romsdal, er tettpakket med forhistoriske gjenstander og kulturminner. Gårdsnavnet Løykja (av leikr) indikerer også at gården skal ha vært en viktig sosial møteplass, kanskje i kombinasjon med handel eller rituelle aktiviteter. På Løykja kan man for eksempel finne det største gravfeltet i Møre og Romsdal, med ca 200 gravminner. Noen hundre meter nordvest for det store gravfeltet, ligger jordet der vi har gjennomført våre undersøkelser. Her har privatpersoner med metalldetektor har funnet mange fine gjenstander, hovedsakelig fra periodene romertid, folkevandringstid og merovingertid. Tidligere har det blant annet blitt funnet et spinnehjul og ei konisk spenne. Når bonden har pløyd jordet, har det også dukket opp kull, bein og skjørbrent stein. Det har også blitt funnet gjenstander av nyere dato, for eksempel mynt fra 18- og 1900-tallet, samt knapper og lignende.
I 2017 gjennomførte Møre og Romsdal Fylkeskommune forundersøkelser på jordet. Da ble det påvist flere kokegroper, samt ei grav. I grava ble det funnet ei korsforma spenne. Store deler av jordet er i dag fredet, noe som innebærer at det er ulovlig for privatpersoner å søke der med metalldetektor. Formålet med vår undersøkelse, som var bekostet av Riksantikvaren, var å kartlegge utbredelse og omfang på lokaliteten. Vi brukte to metoder: Georadar og metallsøk. Ved hjelp av georadar håpet vi å kunne kartlegge eventuelle arkeologiske strukturer under matjorda. Den systematiske undersøkelsen med metalldetektor kunne hjelpe oss å påvise og sikre arkeologiske gjenstander som fremdeles var bevart i pløyelaget.

En lang dags georadarferd mot natt. Foto: Arne Anderson Stamnes, NTNU Vitenskapsmuseet
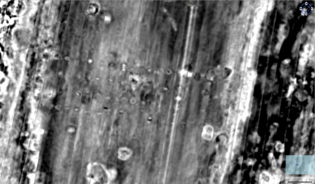
Vi kjørte fra Trondheim torsdag 9 august. Planen var å kartlegge jordet med georadar fredag, og gjennomføre et systematisk metallsøk i samarbeid med privatpersoner med metalldetektor på lørdag. På grunn av at værmeldingen signaliserte kraftig regnvær på fredag, valgte vi å gjennomføre georadarsøket samme dag som vi kom. Vi kjørte rundt på jordet i 8-9 km/t til langt på natt. Det viste seg å være en god avgjørelse, ettersom regnværet på fredag hadde etterlatt store pytter med vann flere steder på jordet. Hadde vi ventet, hadde vi vært nødt til å utsette hele undersøkelsen. Lite nattesøvn førte imidlertid til fantastiske resultater! På nåværende tidspunkt er vi så vidt i gang med å tolke dataene. Vi kan allikevel allerede si at det lille jordet har spor etter en mengde forhistoriske aktiviteter. På det 2,3 hektar store området vi undersøkte synes omrisset av minst 6-7 graver, et særdeles tydelig treskipet langhus på 19,5×5,5 meter, samt flere hundre groper. Mange av gropene er sannsynligvis kokegroper.

Langhuset på 18×5 meter er svært synlige i datasettet. Illustrasjon: Arne Stamnes, NTNU Vitenskapsmuseet

Tolkning av data. I dette lille utsnittet er det 5 synlige graver og mange groper. Illustrasjon: Arne Stamnes, NTNU Vitenskapsmuseet
På morgenen lørdag den 11 august, var 6 dyktige personer med metalldetektor klare for å delta på det systematiske metallsøket. I tillegg deltok feltleder med metallsøker, mens prosjektleder fortløpende målte inn alle funn. Vi tok utgangspunkt i sikringssona til kulturminnet som var definert på grunnlag av tidligere undersøkelser og funn. Området ble delt inn i 52 ruter på 20×20 meter. Hver person brukte om lag 45 minutter per rute.

Alle var glade da glassperla ble funnet. Fra venstre: Alf Harald Dragseth, Steffen Hansen, Bartek Nowakowski, Anders Danielsen, Anders Lippert og Caroline Fredriksen. Foto: Arne Anderson Stamnes, NTNU Vitenskapsmuseet
Det ble mye gledesdans på jordet i løpet av lørdag. Kombinert med funn gjort tidligere, finnes det nå gjenstander som dekker hele perioden fra romertid til nyere tid. Blant høydepunktene fra vår undersøkelse kan vi blant annet nevne 2 fibler (1 fra romertid og 1 fra folkevandringstid), en pinsett (sannsynligvis eldre jernalder), en glassperle (overflatefunn, jernalder), en bitteliten gullring (uviss tid) og klippesølv fra vikingtid. Det ble til sammen gjort 66 funn. Svært mange av disse er udefinerbare fragmenter som det er vanskelig å si så mye om. Vi har minst 15 sikre forhistoriske gjenstander, som sammen med georadarresultatene og resultater fra tidligere undersøkelser vil kunne danne grunnlag for ny kunnskap om forhistorien på Løykja og i Sunndalen.
- En fibula. Foto: Caroline Fredriksen, NTNU Vitenskapsmuseet
- Pinsett. Foto: Caroline Fredriksen, NTNU Vitenskapsmuseet
- Gullring. Foto: Caroline Fredriksen, NTNU Vitenskapsmuseet
- En dekorert sølvbit, mulig klippesølv brukt i vareutveksling. Foto: Caroline Fredriksen, NTNU Vitenskapsmuseet
I tillegg sitter vi igjen med svært positiv erfaring etter å ha samarbeidet med detektoristene. Tusen takk for tiden deres, for engasjementet og kunnskapen. Godt jobba!








